Residencial a Autovia NACIONAL II, Fornells de la Selva
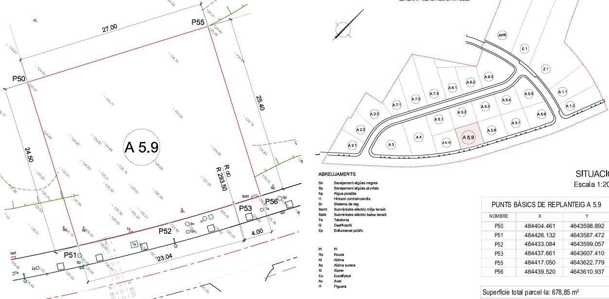
Ponemos a la venta parcelas de diferentes superficies y ubicacion en terreno calificado de industrial ubicado en Fornells de la Selva, en el ámbito del Plan Parcial Can Faixedes, a escasos minutos de Girona. Se trata de un suelo urbanísticamente aprobado, con una superficie total del plan de 111.466 m2, de los cuales se ofrece en venta una parte de parcelas (consultar disponibilidad). El precio incluye los gastos de urbanizacion a cargo del propietario vendedor.- Características urbanísticas: Plan Parcial Urbanístico SD(I1) Can Faixedes Proyecto de reparcelación finalizado Calificación del suelo: Suelo Urbanizable Delimitado Uso principal: industrial, tipología 6a Ordenación: Edificación entre medianeras Parcela mínima: 800 m2, con posibilidad de agrupar parcelas Edificabilidad neta: 1,3 m2 techo/m2 suelo Ocupación máxima: 80% Fachada mínima: 18 m Altura máxima: 10 m + cubierta (hasta un 20% de inclinación) Retranqueos: 6 m a vial, 0 m a laterales y fondo Se permiten plantas sótano respetando los retranqueos Aparcamiento: 1 plaza por cada 150 m2 construidos Usos permitidos: Industrial: categorías 2ª, 3ª y 4ª (en situaciones 1-b, 2-b, 3-a, 3-b, 4-a, 4-b), y categoría 5ª en situación 5-a Comercial Oficinas y despachos Sanitarios: dispensarios, consultorios y ambulatorios Culturales: formación profesional vinculada a la actividad industrial Deportivo Aparcamientos Almacenes vinculados a servicios terciarios y comerciales Estaciones de servicio y venta de carburantes Esta nueva zona industrial queda con excelente ubicación y flexibilidad de usos, y facilidad de comuinicaciones .- Es una buena oportunidad de compra ó inversión , pues sin duda en el futuro se verà revalorizada .- Información, condiciones de venta y disponibilidad, a consultar
- 800 m²
