Nau industrial a Teo
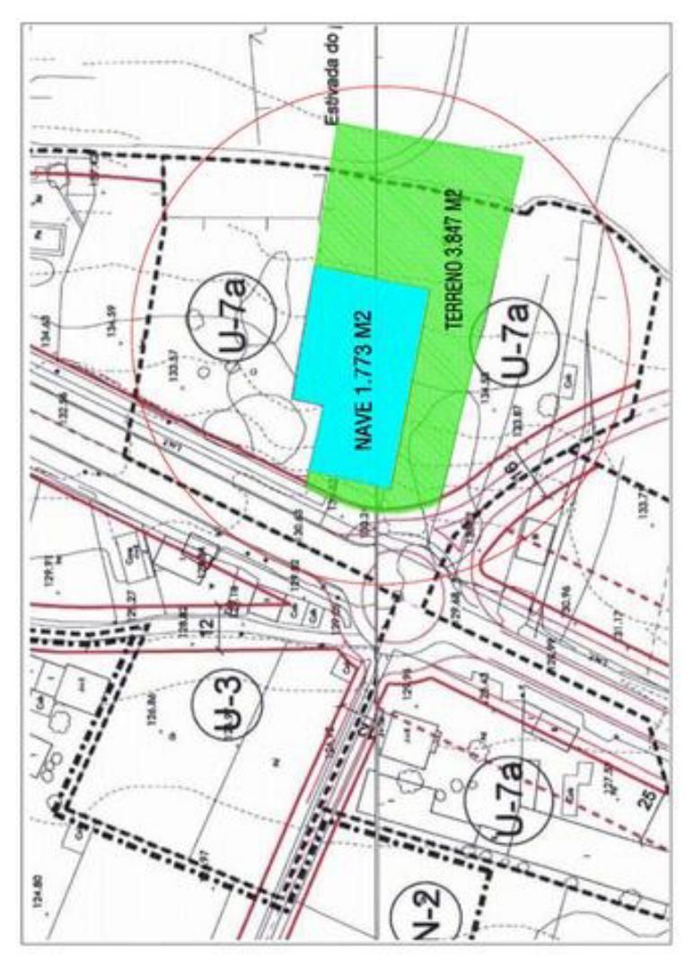
Nave en los alrededores de Santiago de Compostela, situada en la carretera de Casalonga (Teo) a tan sólo 10 minutos de la ciudad de Santiago de Compostela. Situada al borde de la carretera N-550 en Casalonga a escasos minutos de los accesos de la AP9 que a su vez contacta con la autovía de Lugo A54 y la autopista de Orense AP53. La nave está acondicionada: dispone actualmente de un aseo y vestuario, zona de oficina 13,74 m2 y zona de exposición 89,55 m2, una primera planta sin acondicionar 108,20 m2 con las escaleras de conexión realizadas. La planta baja dispone de un puente grúa de 5 toneladas con una luz de 12,40 metros aproximadamente, que hace el recorrido desde el frente de la nave al final de la misma, conecta con uno de los portalones de entrada de 6 metros de ancho por 5 metros de alto, la nave tiene un total de 1.773,79 m2, divididos entre la planta primera 108,20 m2 y la planta baja de 1.665,59 m2 . Dispone de dos accesos en el frente de la nave a la altura de la carretera con dos portalones, uno de 6 metros de ancho por 5 metros de alto y otro de 4.5 de ancho por 5 metros de alto, la altura libre de la nave es de 6,60 metros aproximadamente. También dispone de un terreno alrededor de la nave de aproximadamente 3.847 m2 que se encuentra a dos alturas, ideal para dejar vehículos de la empresa en el exterior o materiales utilizados en la actividad de la empresa. Aparte de los dos portalones de entrada a la nave, dispone de dos escaparates de 10 m2 aproximadamente cada uno en el frente a la carretera.
- 1773 m²
